Lite oppdrettsfisk i elvene rundt Trondheimsfjorden i sportsfiskesesongen 2017

Denne saken er eldre enn to år

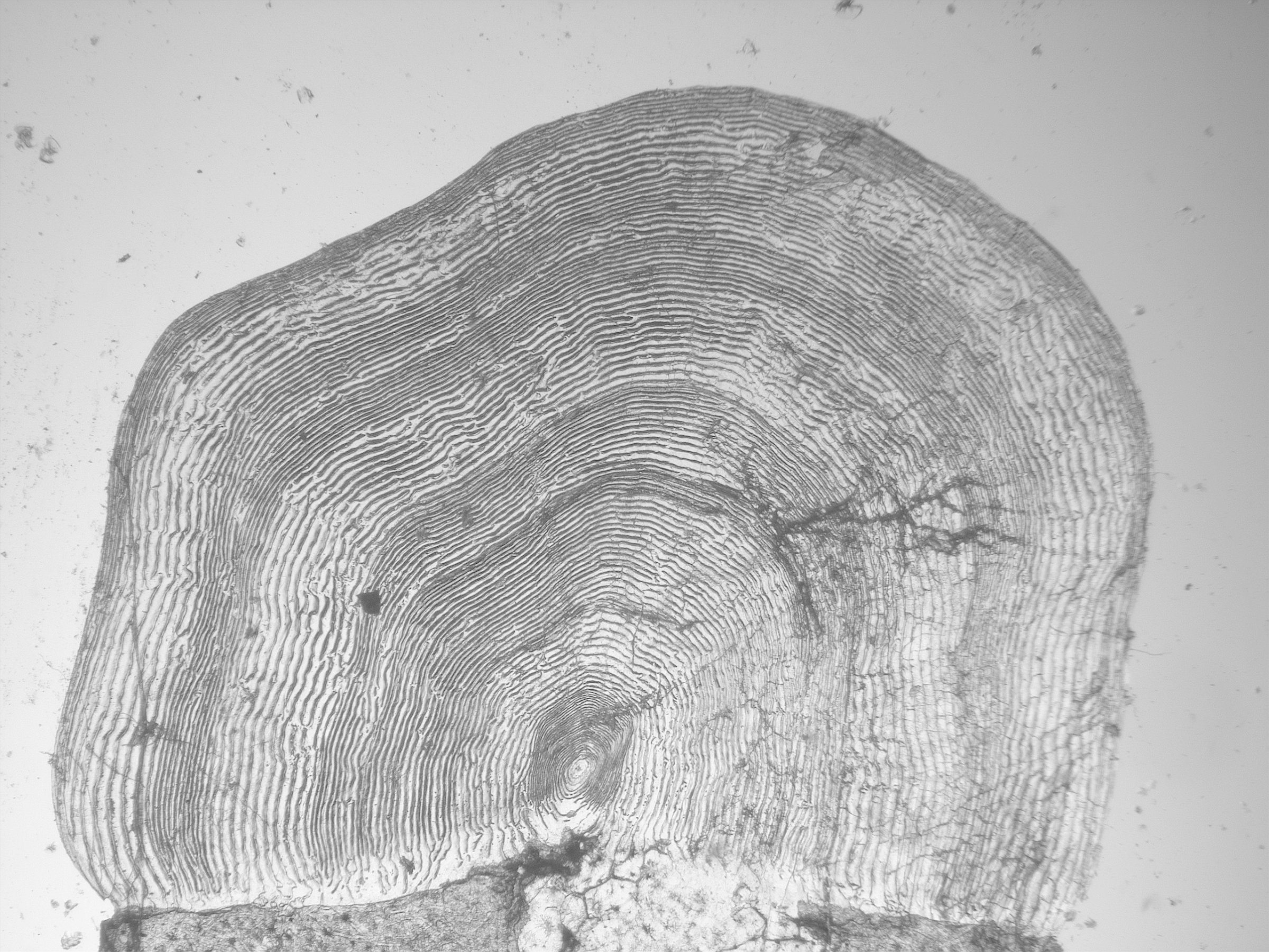
Veterinærinstituttet har også i år gjennomført fortløpende analyser av skjell fra seks ulike lakseelver i Trondheimsfjorden, for å avdekke andel rømt oppdrettslaks i sportsfiskesesongen. Kun fem prøver ble klassisfisert som oppdrettsfisk av totalt 2481 (0,2 %).

Skjellkontrollen ved Veterinærinstituttet ble forespurt om å videreføre samarbeidsprosjektet som SalMar ASA og Elvene rundt Trondheimsfjorden (ERT) har hatt fra 2011 til og med 2016, med analyse av skjellprøver for de samme seks elvene også i sportsfiskesesongen 2017.

Fra 1. juni til 19. september 2017 ble det analysert totalt 2481 skjellprøver fra laks.

Dette gir 39,3 % prøver analysert av avlivet fangst ifølge fangststatistikken på vassdragenes hjemmesider per 01.11.2017. Det ble analysert skjellprøver fra Gaula, Nidelva, Orkla, Skauga, Stjørdalselva og Verdalselva. 

Her kan du lese mer og laste ned rapporten